水果邦农人之家

 找回密码
 加入农人之家大家庭

QQ登录

只需一步,快速开始

楼主: 梦想家1

绿宝石三个月的生长过程.

    [复制链接]

参加活动:0

组织活动:0

7077

帖子

932 小时

在线时间

102

好友

★溉帮★五袋长老

Rank: 18Rank: 18Rank: 18Rank: 18Rank: 18

UID
195559
鲜花
7965 朵
农币
28990 枚
发表于 2019-3-24 23:16 来自手机 | 显示全部楼层 来自: 中国甘肃兰州
绿宝石就这样
回复 支持 反对

使用道具 举报

参加活动:0

组织活动:0

1543

帖子

164 小时

在线时间

0

好友

高中三年级

Rank: 12Rank: 12Rank: 12

UID
294249
鲜花
3230 朵
农币
7746 枚
 楼主| 发表于 2019-3-25 21:10 来自手机 | 显示全部楼层 来自: 中国江苏南京
从苔藓苗到结果子,马上整一年了。四月十二号拍个照留念下。
回复 支持 反对

使用道具 举报

参加活动:0

组织活动:0

127

帖子

57 小时

在线时间

1

好友

小学四年级

Rank: 5Rank: 5

UID
229686
鲜花
403 朵
农币
1767 枚
发表于 2019-3-27 10:44 来自手机 | 显示全部楼层 来自: 中国湖南郴州
你是我的偶像,交个朋友吧
回复 支持 反对

使用道具 举报

参加活动:0

组织活动:0

1507

帖子

270 小时

在线时间

0

好友

大学二年级

Rank: 14Rank: 14Rank: 14Rank: 14

UID
299503
鲜花
3632 朵
农币
10898 枚
发表于 2019-3-27 12:47 来自手机 | 显示全部楼层 来自: 中国福建福州
楼主红扣咋了

点评

没怎么长  详情 回复 发表于 2019-3-27 15:36
回复 支持 反对

使用道具 举报

参加活动:0

组织活动:0

1543

帖子

164 小时

在线时间

0

好友

高中三年级

Rank: 12Rank: 12Rank: 12

UID
294249
鲜花
3230 朵
农币
7746 枚
 楼主| 发表于 2019-3-27 15:36 来自手机 | 显示全部楼层 来自: 中国江苏南京
回复 支持 反对

使用道具 举报

参加活动:0

组织活动:0

1543

帖子

164 小时

在线时间

0

好友

高中三年级

Rank: 12Rank: 12Rank: 12

UID
294249
鲜花
3230 朵
农币
7746 枚
 楼主| 发表于 2019-4-3 09:21 来自手机 | 显示全部楼层 来自: 中国江苏
木木优瑞卡上盆。扒了一半原基质,根系发达。等待明年结果。

点评

请问木木家的有淘宝店铺吗?全名叫什么?  详情 回复 发表于 2019-8-21 15:07
回复 支持 反对

使用道具 举报

参加活动:0

组织活动:0

1543

帖子

164 小时

在线时间

0

好友

高中三年级

Rank: 12Rank: 12Rank: 12

UID
294249
鲜花
3230 朵
农币
7746 枚
 楼主| 发表于 2019-4-3 09:28 来自手机 | 显示全部楼层 来自: 中国江苏
基质山上现扒腐熟松针。闻着酸酸的。基质很粗有松皮松针表层厚厚一层自然腐熟的基质。蓝莓苗的最爱。

点评

自然腐熟的松针土,是松树掉下来的烂叶子,还是烂叶子下面那层土。  详情 回复 发表于 2019-8-21 15:13
回复 支持 反对

使用道具 举报

参加活动:0

组织活动:0

1423

帖子

125 小时

在线时间

8

好友

高中二年级

Rank: 11Rank: 11Rank: 11Rank: 11

UID
292160
鲜花
2971 朵
农币
6166 枚
发表于 2019-4-3 21:42 来自手机 | 显示全部楼层 来自: 中国江西赣州
楼主种得真好,请教平时都用些什么肥?

点评

春天硫酸钾型复合肥,硫酸铵,秋天硫酸钾加硫酸钾型复合肥。冬天农家肥。羊粪。  详情 回复 发表于 2019-4-3 22:59
回复 支持 反对

使用道具 举报

参加活动:0

组织活动:0

5137

帖子

291 小时

在线时间

0

好友

★溉帮★五袋长老

Rank: 18Rank: 18Rank: 18Rank: 18Rank: 18

UID
309624
鲜花
8963 朵
农币
28470 枚
发表于 2019-4-3 22:08 来自手机 | 显示全部楼层 来自: 中国广东深圳
回复 支持 反对

使用道具 举报

参加活动:0

组织活动:0

1543

帖子

164 小时

在线时间

0

好友

高中三年级

Rank: 12Rank: 12Rank: 12

UID
294249
鲜花
3230 朵
农币
7746 枚
 楼主| 发表于 2019-4-3 22:59 来自手机 | 显示全部楼层 来自: 中国江苏
最喜爱蓝莓 发表于 2019-04-03 21:42
楼主种得真好,请教平时都用些什么肥?

春天硫酸钾型复合肥,硫酸铵,秋天硫酸钾加硫酸钾型复合肥。冬天农家肥。羊粪。
回复 支持 反对

使用道具 举报

参加活动:0

组织活动:0

1543

帖子

164 小时

在线时间

0

好友

高中三年级

Rank: 12Rank: 12Rank: 12

UID
294249
鲜花
3230 朵
农币
7746 枚
 楼主| 发表于 2019-4-3 23:02 来自手机 | 显示全部楼层 来自: 中国江苏
用肥把握好时间,什么时间用什么肥别害折腾上这个肥那个肥折腾越多死的越快。
回复 支持 反对

使用道具 举报

参加活动:0

组织活动:0

1543

帖子

164 小时

在线时间

0

好友

高中三年级

Rank: 12Rank: 12Rank: 12

UID
294249
鲜花
3230 朵
农币
7746 枚
 楼主| 发表于 2019-4-3 23:07 来自手机 | 显示全部楼层 来自: 中国江苏
春季防病多菌灵,代森锰辛,交替使用一次。秋天使用一次。防虫地下害虫辛硫磷或白僵菌。叶面虫吡虫啉或菊脂类杀虫剂低残留的。
回复 支持 反对

使用道具 举报

参加活动:0

组织活动:0

1423

帖子

125 小时

在线时间

8

好友

高中二年级

Rank: 11Rank: 11Rank: 11Rank: 11

UID
292160
鲜花
2971 朵
农币
6166 枚
发表于 2019-4-4 18:14 来自手机 | 显示全部楼层 来自: 中国江西赣州
回复 支持 反对

使用道具 举报

参加活动:0

组织活动:0

1543

帖子

164 小时

在线时间

0

好友

高中三年级

Rank: 12Rank: 12Rank: 12

UID
294249
鲜花
3230 朵
农币
7746 枚
 楼主| 发表于 2019-4-15 16:11 来自手机 | 显示全部楼层 来自: 中国江苏镇江
坐果成功率真高基本百分百。
回复 支持 反对

使用道具 举报

参加活动:0

组织活动:0

1543

帖子

164 小时

在线时间

0

好友

高中三年级

Rank: 12Rank: 12Rank: 12

UID
294249
鲜花
3230 朵
农币
7746 枚
 楼主| 发表于 2019-4-18 22:08 来自手机 | 显示全部楼层 来自: 中国江苏镇江
一年对比还是很大的
回复 支持 反对

使用道具 举报

参加活动:0

组织活动:0

1543

帖子

164 小时

在线时间

0

好友

高中三年级

Rank: 12Rank: 12Rank: 12

UID
294249
鲜花
3230 朵
农币
7746 枚
 楼主| 发表于 2019-4-18 22:11 来自手机 | 显示全部楼层 来自: 中国江苏镇江
去年4月12号至今年4月18号的对比
回复 支持 反对

使用道具 举报

参加活动:0

组织活动:0

1543

帖子

164 小时

在线时间

0

好友

高中三年级

Rank: 12Rank: 12Rank: 12

UID
294249
鲜花
3230 朵
农币
7746 枚
 楼主| 发表于 2019-4-18 22:12 来自手机 | 显示全部楼层 来自: 中国江苏镇江
去年苗很小今年吃果子。
回复 支持 反对

使用道具 举报

参加活动:0

组织活动:0

971

帖子

771 小时

在线时间

5

好友

大学四年级

Rank: 16Rank: 16Rank: 16Rank: 16

UID
308826
鲜花
5168 朵
农币
7633 枚
居住地
广东 东莞 东莞市
专职
园艺爱好者
发表于 2019-4-18 22:50 来自手机 | 显示全部楼层 来自: 中国
回复 支持 反对

使用道具 举报

参加活动:0

组织活动:0

1543

帖子

164 小时

在线时间

0

好友

高中三年级

Rank: 12Rank: 12Rank: 12

UID
294249
鲜花
3230 朵
农币
7746 枚
 楼主| 发表于 2019-4-25 00:47 来自手机 | 显示全部楼层 来自: 中国江苏镇江
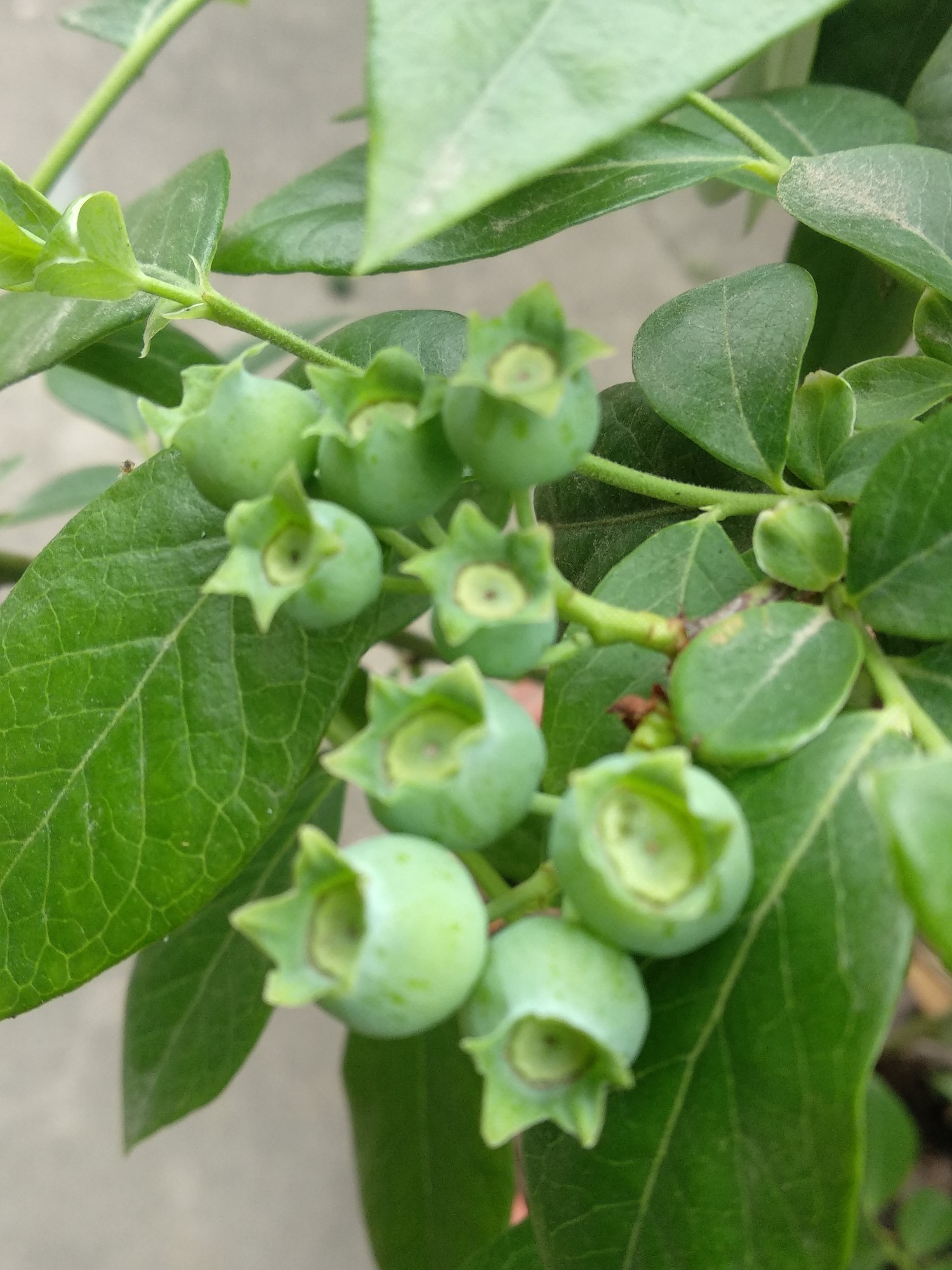
果子彭大了
回复 支持 反对

使用道具 举报

参加活动:0

组织活动:0

1543

帖子

164 小时

在线时间

0

好友

高中三年级

Rank: 12Rank: 12Rank: 12

UID
294249
鲜花
3230 朵
农币
7746 枚
 楼主| 发表于 2019-4-25 00:53 来自手机 | 显示全部楼层 来自: 中国江苏镇江
粉红柠檬水
回复 支持 反对

使用道具 举报

本版积分规则

QQ|手机客户端|关于我们|联系我们|规则制度|隐私政策|小黑屋|活动|水果邦 ( 京ICP备06047721号-4 )

GMT+8, 2025-12-24 18:58 , Processed in 0.045386 second(s), 82 queries , Redis On.

Powered by Discuz! X3.4

Copyright © 2001-2020, Tencent Cloud.

快速回复 返回顶部 返回列表