水果邦农人之家

 找回密码
 加入农人之家大家庭

QQ登录

只需一步,快速开始

楼主: 秋LONG

绍星一号马上进入盛花了,

    [复制链接]

参加活动:0

组织活动:0

862

帖子

375 小时

在线时间

11

好友

高中三年级

Rank: 12Rank: 12Rank: 12

UID
250969
鲜花
1207 朵
农币
6227 枚
发表于 2017-4-10 19:05 | 显示全部楼层 来自: 中国河南郑州
就凭易成花这个特点,阳台族值得拥有。
回复 支持 反对

使用道具 举报

参加活动:1

组织活动:0

140

帖子

73 小时

在线时间

1

好友

初中一年级

Rank: 7Rank: 7Rank: 7

UID
227691
鲜花
413 朵
农币
2834 枚
发表于 2017-4-10 19:27 | 显示全部楼层 来自: 中国辽宁沈阳
真是高手。期待成熟表现,大饱眼福
回复 支持 反对

使用道具 举报

参加活动:0

组织活动:0

1718

帖子

337 小时

在线时间

47

好友

大学四年级

Rank: 16Rank: 16Rank: 16Rank: 16

昵称
阿明
UID
213380
鲜花
3446 朵
农币
18212 枚
发表于 2017-4-10 19:39 | 显示全部楼层 来自: 中国浙江衢州
顶个
回复 支持 反对

使用道具 举报

参加活动:0

组织活动:0

97

帖子

19 小时

在线时间

1

好友

小学二年级

Rank: 3Rank: 3

昵称
天羽8088
UID
256637
鲜花
514 朵
农币
696 枚
居住地
四川 广元 旺苍县
专职
种植园主
发表于 2017-4-10 19:48 | 显示全部楼层 来自: 中国四川广元
不错
回复 支持 反对

使用道具 举报

参加活动:1

组织活动:0

351

帖子

191 小时

在线时间

4

好友

初中二年级

Rank: 8Rank: 8

UID
254246
鲜花
698 朵
农币
2048 枚
居住地
山东 潍坊 青州市
专职
园艺爱好者
发表于 2017-4-10 19:52 | 显示全部楼层 来自: 中国山东潍坊
啥品种熟的最早啊
回复 支持 反对

使用道具 举报

参加活动:0

组织活动:0

4491

帖子

536 小时

在线时间

61

好友

★溉帮★五袋长老

Rank: 18Rank: 18Rank: 18Rank: 18Rank: 18

UID
243300
鲜花
5116 朵
农币
18492 枚
居住地
江苏 扬州 广陵区
专职
园艺爱好者
发表于 2017-4-10 20:12 | 显示全部楼层 来自: 中国江苏扬州
30天后吃果子,拭目以待
回复 支持 反对

使用道具 举报

参加活动:0

组织活动:0

634

帖子

562 小时

在线时间

74

好友

大学一年级

Rank: 13Rank: 13Rank: 13Rank: 13

昵称
王振学
UID
75810
鲜花
194 朵
农币
8021 枚
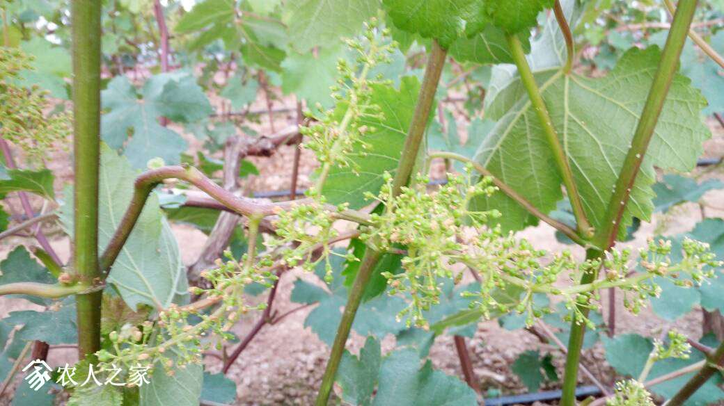
 楼主| 发表于 2017-4-11 19:22 | 显示全部楼层 来自: 中国山东青岛
扬州蛋炒饭 发表于 2017-4-10 20:12
30天后吃果子,拭目以待

这几天很少见太阳,花开的很慢,刚谢花
192228qsarfz3mmasqlfla.jpg
192228avhggvy1vumgqruj.jpg
192228b7gzz57mlxww57kk.jpg
回复 支持 反对

使用道具 举报

参加活动:1

组织活动:0

351

帖子

191 小时

在线时间

4

好友

初中二年级

Rank: 8Rank: 8

UID
254246
鲜花
698 朵
农币
2048 枚
居住地
山东 潍坊 青州市
专职
园艺爱好者
发表于 2017-4-11 19:50 | 显示全部楼层 来自: 中国山东潍坊
这个品种需要拉花吗?

点评

应该不需要,今年第一年,没有经验,开花前一直缺水,有些花穗比较紧凑  详情 回复 发表于 2017-4-11 20:00
回复 支持 反对

使用道具 举报

参加活动:0

组织活动:0

634

帖子

562 小时

在线时间

74

好友

大学一年级

Rank: 13Rank: 13Rank: 13Rank: 13

昵称
王振学
UID
75810
鲜花
194 朵
农币
8021 枚
 楼主| 发表于 2017-4-11 20:00 | 显示全部楼层 来自: 中国山东青岛
王建博 发表于 2017-4-11 19:50
这个品种需要拉花吗?

应该不需要,今年第一年,没有经验,开花前一直缺水,有些花穗比较紧凑
回复 支持 反对

使用道具 举报

参加活动:1

组织活动:0

351

帖子

191 小时

在线时间

4

好友

初中二年级

Rank: 8Rank: 8

UID
254246
鲜花
698 朵
农币
2048 枚
居住地
山东 潍坊 青州市
专职
园艺爱好者
发表于 2017-4-11 20:12 | 显示全部楼层 来自: 中国山东潍坊
秋LONG 发表于 2017-4-11 20:00
应该不需要,今年第一年,没有经验,开花前一直缺水,有些花穗比较紧凑

有小苗吗?

点评

没有了,秋后有,枝条今天才剪成段,明天才能插地里  详情 回复 发表于 2017-4-11 20:16
回复 支持 反对

使用道具 举报

参加活动:0

组织活动:0

634

帖子

562 小时

在线时间

74

好友

大学一年级

Rank: 13Rank: 13Rank: 13Rank: 13

昵称
王振学
UID
75810
鲜花
194 朵
农币
8021 枚
 楼主| 发表于 2017-4-11 20:16 | 显示全部楼层 来自: 中国山东青岛

没有了,秋后有,枝条今天才剪成段,明天才能插地里
回复 支持 反对

使用道具 举报

参加活动:1

组织活动:0

351

帖子

191 小时

在线时间

4

好友

初中二年级

Rank: 8Rank: 8

UID
254246
鲜花
698 朵
农币
2048 枚
居住地
山东 潍坊 青州市
专职
园艺爱好者
发表于 2017-4-11 20:41 | 显示全部楼层 来自: 中国山东潍坊
秋LONG 发表于 2017-4-11 20:16
没有了,秋后有,枝条今天才剪成段,明天才能插地里

给我几个枝吧

点评

我自己的地也插不满,还要插夏黑准备嫁接  详情 回复 发表于 2017-4-11 20:47
回复 支持 反对

使用道具 举报

参加活动:0

组织活动:0

634

帖子

562 小时

在线时间

74

好友

大学一年级

Rank: 13Rank: 13Rank: 13Rank: 13

昵称
王振学
UID
75810
鲜花
194 朵
农币
8021 枚
 楼主| 发表于 2017-4-11 20:47 | 显示全部楼层 来自: 中国山东青岛

我自己的地也插不满,还要插夏黑准备嫁接
回复 支持 反对

使用道具 举报

参加活动:1

组织活动:0

351

帖子

191 小时

在线时间

4

好友

初中二年级

Rank: 8Rank: 8

UID
254246
鲜花
698 朵
农币
2048 枚
居住地
山东 潍坊 青州市
专职
园艺爱好者
发表于 2017-4-11 20:56 | 显示全部楼层 来自: 中国山东潍坊
秋LONG 发表于 2017-4-11 20:47
我自己的地也插不满,还要插夏黑准备嫁接

我买你的
回复 支持 反对

使用道具 举报

参加活动:0

组织活动:0

4491

帖子

536 小时

在线时间

61

好友

★溉帮★五袋长老

Rank: 18Rank: 18Rank: 18Rank: 18Rank: 18

UID
243300
鲜花
5116 朵
农币
18492 枚
居住地
江苏 扬州 广陵区
专职
园艺爱好者
发表于 2017-4-12 00:55 | 显示全部楼层 来自: 中国江苏
秋LONG 发表于 2017-4-11 19:22
这几天很少见太阳,花开的很慢,刚谢花

不知道影响不影响明年花芽分化

点评

肯定不会影响花芽分化  详情 回复 发表于 2017-4-13 19:22
回复 支持 反对

使用道具 举报

参加活动:0

组织活动:0

2688

帖子

1116 小时

在线时间

10

好友

★溉帮★五袋长老

Rank: 18Rank: 18Rank: 18Rank: 18Rank: 18

UID
200095
鲜花
8870 朵
农币
37664 枚
居住地
山西
专职
种植园主
发表于 2017-4-12 06:26 | 显示全部楼层 来自: 中国山西
赞……
回复 支持 反对

使用道具 举报

参加活动:0

组织活动:0

971

帖子

119 小时

在线时间

6

好友

初中三年级

Rank: 9Rank: 9Rank: 9

UID
253417
鲜花
1376 朵
农币
4574 枚
发表于 2017-4-12 06:32 | 显示全部楼层 来自: 中国吉林四平
好品种,真漂亮
回复 支持 反对

使用道具 举报

参加活动:0

组织活动:0

4896

帖子

726 小时

在线时间

116

好友

★溉帮★五袋长老

Rank: 18Rank: 18Rank: 18Rank: 18Rank: 18

UID
210817
鲜花
9257 朵
农币
37461 枚
居住地
江苏 徐州 铜山县
专职
种植园主
发表于 2017-4-12 07:23 | 显示全部楼层 来自: 中国江苏徐州
种的真好,我的今年才发芽

点评

不是种的好,是品种好  详情 回复 发表于 2017-4-13 19:24
回复 支持 反对

使用道具 举报

参加活动:0

组织活动:0

1399

帖子

355 小时

在线时间

26

好友

大学一年级

Rank: 13Rank: 13Rank: 13Rank: 13

UID
216404
鲜花
1825 朵
农币
9219 枚
居住地
湖南 株洲 茶陵县
专职
农场基地
发表于 2017-4-12 07:47 | 显示全部楼层 来自: 中国湖南株洲
据说从开花到成熟只要30天,是不是
回复 支持 反对

使用道具 举报

参加活动:0

组织活动:0

1万

帖子

772 小时

在线时间

71

好友

★溉帮★六袋长老

Rank: 19Rank: 19Rank: 19Rank: 19Rank: 19Rank: 19

昵称
东哥
UID
207979
鲜花
20817 朵
农币
28665 枚
居住地
天津
专职
园艺爱好者
发表于 2017-4-12 07:58 | 显示全部楼层 来自: 中国天津
看着顺眼
回复 支持 反对

使用道具 举报

本版积分规则

QQ|手机客户端|关于我们|联系我们|规则制度|隐私政策|小黑屋|活动|水果邦 ( 京ICP备06047721号-4 )

GMT+8, 2025-12-23 16:41 , Processed in 0.049204 second(s), 91 queries , Redis On.

Powered by Discuz! X3.4

Copyright © 2001-2020, Tencent Cloud.

快速回复 返回顶部 返回列表