水果邦农人之家

 找回密码
 加入农人之家大家庭

QQ登录

只需一步,快速开始

楼主: Qiaojiangnan

六安绿宇苗子就是贵,但愿纯度高吧!

[复制链接]

参加活动:0

组织活动:0

541

帖子

275 小时

在线时间

5

好友

高中二年级

Rank: 11Rank: 11Rank: 11Rank: 11

昵称
品菲家私
UID
226441
鲜花
1021 朵
农币
7595 枚
专职
园艺爱好者
 楼主| 发表于 2017-5-17 15:02 | 显示全部楼层 来自: 中国安徽亳州
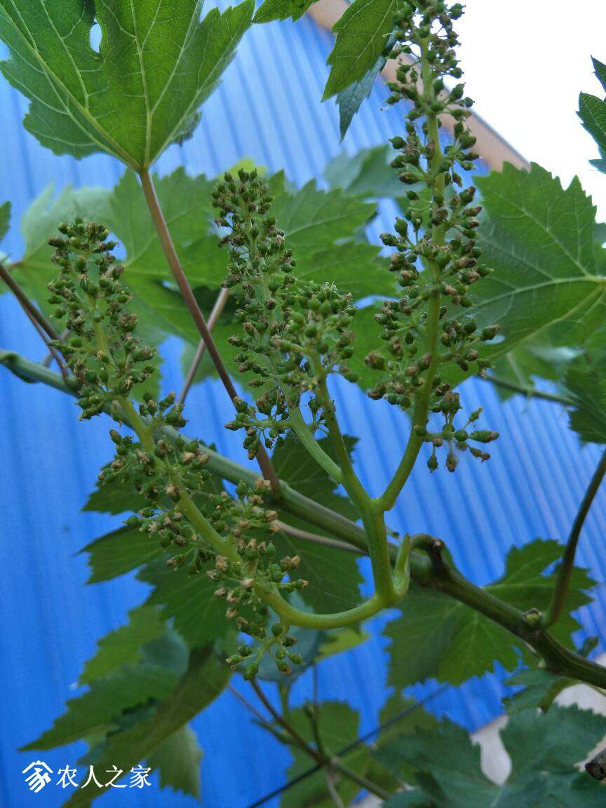
早霞玫瑰已经确定,其他五个品种也基本确定,六安彩宇还是可以的
150210ru5g4zajqrjuq6ya.jpg
150210tomqzyg36mo2dd0u.jpg
150210ljfjjkjfh8j4ylkb.jpg
150210xerweqpqzreeirql.jpg
150210kf6ldxu4641z7jo4.jpg
回复 支持 反对

使用道具 举报

参加活动:0

组织活动:0

204

帖子

214 小时

在线时间

0

好友

初中二年级

Rank: 8Rank: 8

UID
324803
鲜花
453 朵
农币
3244 枚
发表于 2021-1-11 06:26 来自手机 | 显示全部楼层 来自: 中国内蒙古
现在知道他介绍的真的假的了吧
回复 支持 反对

使用道具 举报

本版积分规则

QQ|手机客户端|关于我们|联系我们|规则制度|隐私政策|小黑屋|活动|水果邦 ( 京ICP备06047721号-4 )

GMT+8, 2026-5-19 16:26 , Processed in 0.020896 second(s), 29 queries , Redis On.

Powered by Discuz! X3.4

Copyright © 2001-2020, Tencent Cloud.

快速回复 返回顶部 返回列表