水果邦农人之家

 找回密码
 加入农人之家大家庭

QQ登录

只需一步,快速开始

123
返回列表 发新帖
楼主: 梦的世界

玫瑰香疏果管理(图为对比)

[复制链接]

参加活动:0

组织活动:0

183

帖子

98 小时

在线时间

16

好友

小学五年级

Rank: 6Rank: 6

昵称
春风沐雨
UID
72863
鲜花
0 朵
农币
1804 枚
居住地
山东 潍坊 安丘市 赵戈镇
专职
种植户
发表于 2016-5-8 21:04 | 显示全部楼层 来自: 中国山东潍坊
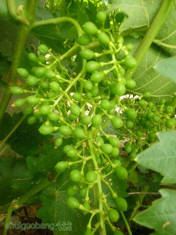
无核处理后
210359x90i5tm4l7tsh7s8.jpg

点评

求玫瑰香无核处理方法。  详情 回复 发表于 2016-5-10 01:22
回复 支持 反对

使用道具 举报

参加活动:0

组织活动:0

247

帖子

43 小时

在线时间

6

好友

小学三年级

Rank: 4

昵称
梦的世界
UID
216159
鲜花
15 朵
农币
1476 枚
专职
种植园主
 楼主| 发表于 2016-5-8 21:19 | 显示全部楼层 来自: 中国河北秦皇岛
灿烂 发表于 2016-5-8 21:04
无核处理后

不错。晒晒照片吧!
回复 支持 反对

使用道具 举报

参加活动:0

组织活动:0

1125

帖子

578 小时

在线时间

6

好友

大学二年级

Rank: 14Rank: 14Rank: 14Rank: 14

昵称
霸王项羽
UID
178272
鲜花
1354 朵
农币
9861 枚
居住地
河北 廊坊 永清县 三圣口乡
专职
园艺爱好者
发表于 2016-5-10 01:22 来自手机 | 显示全部楼层 来自: 中国河北廊坊
灿烂 发表于 2016-5-8 21:04
无核处理后

求玫瑰香无核处理方法。
回复 支持 反对

使用道具 举报

参加活动:0

组织活动:0

2225

帖子

262 小时

在线时间

15

好友

大学二年级

Rank: 14Rank: 14Rank: 14Rank: 14

UID
156290
鲜花
4518 朵
农币
9142 枚
居住地
江苏 苏州
专职
园艺爱好者
发表于 2016-5-10 12:10 | 显示全部楼层 来自: 中国江苏苏州
种地的农民哥哥 发表于 2016-5-7 16:13
哦。谢谢啦!我也有感觉到不爱落果!去年二次果都好大一串!好紧一串的!书上误导人

也许玫瑰香香也在不断进化吧~O(∩_∩)O~
回复 支持 反对

使用道具 举报

参加活动:0

组织活动:0

6402

帖子

2272 小时

在线时间

164

好友

农艺达人

Rank: 35Rank: 35Rank: 35Rank: 35Rank: 35Rank: 35Rank: 35Rank: 35Rank: 35Rank: 35

昵称
鬼才
UID
51933
鲜花
2092 朵
农币
27517 枚
发表于 2016-5-10 23:15 | 显示全部楼层 来自: 中国广东阳江
梦的世界 发表于 2016-5-8 05:13
那是和管理有关,茶淀玫瑰香就不处理,果穂也不紧。

可能和种植地域有关,东莞这里就玫瑰香会挤脸
我们就是支持和平发展和唾弃贪腐
回复 支持 反对

使用道具 举报

参加活动:0

组织活动:0

247

帖子

43 小时

在线时间

6

好友

小学三年级

Rank: 4

昵称
梦的世界
UID
216159
鲜花
15 朵
农币
1476 枚
专职
种植园主
 楼主| 发表于 2016-5-11 10:35 | 显示全部楼层 来自: 中国河北秦皇岛
牧马人 发表于 2016-5-10 23:15
可能和种植地域有关,东莞这里就玫瑰香会挤脸

与管理水平有关
回复 支持 反对

使用道具 举报

参加活动:0

组织活动:0

183

帖子

98 小时

在线时间

16

好友

小学五年级

Rank: 6Rank: 6

昵称
春风沐雨
UID
72863
鲜花
0 朵
农币
1804 枚
居住地
山东 潍坊 安丘市 赵戈镇
专职
种植户
发表于 2016-5-12 20:31 | 显示全部楼层 来自: 中国山东潍坊
处里后22天
203138rsh3h1mnznhhbm3r.jpg
203139ing5sym85rsyff1c.jpg
回复 支持 反对

使用道具 举报

本版积分规则

QQ|手机客户端|关于我们|联系我们|规则制度|隐私政策|小黑屋|活动|水果邦 ( 京ICP备06047721号-4 )

GMT+8, 2025-12-24 17:20 , Processed in 0.032094 second(s), 49 queries , Redis On.

Powered by Discuz! X3.4

Copyright © 2001-2020, Tencent Cloud.

快速回复 返回顶部 返回列表