水果邦农人之家

 找回密码
 加入农人之家大家庭

QQ登录

只需一步,快速开始

楼主: zycyx

[原创] 记录2021黄晶果开花结果情况2021.04.12

[复制链接]

参加活动:0

组织活动:0

5534

帖子

2110 小时

在线时间

4

好友

★溉帮★七袋长老

Rank: 20Rank: 20Rank: 20Rank: 20Rank: 20

昵称
中山小新
UID
184626
鲜花
12667 朵
农币
74038 枚
居住地
广东
专职
园艺爱好者
发表于 2021-5-10 07:27 来自手机 | 显示全部楼层 来自: 中国广东广州
宿舍在哪里,我过去剪枝条

点评

黄圃  详情 回复 发表于 2021-5-10 23:06
回复 支持 反对

使用道具 举报

参加活动:1

组织活动:0

3万

帖子

1万

在线时间

680

好友

★万户侯★

Rank: 26Rank: 26Rank: 26Rank: 26Rank: 26Rank: 26Rank: 26

爱心勋章

昵称
静涌
UID
14329
鲜花
49967 朵
农币
2539625 枚
专职
园艺爱好者
 楼主| 发表于 2021-5-10 23:06 来自手机 | 显示全部楼层 来自: 中国广东佛山
jackethua 发表于 2021-05-10 07:27
宿舍在哪里,我过去剪枝条

黄圃

点评

不是小榄银菊花园咩  详情 回复 发表于 2021-5-11 08:52
品种决定品质,品质决定价值。
回复 支持 反对

使用道具 举报

参加活动:1

组织活动:0

3万

帖子

1万

在线时间

680

好友

★万户侯★

Rank: 26Rank: 26Rank: 26Rank: 26Rank: 26Rank: 26Rank: 26

爱心勋章

昵称
静涌
UID
14329
鲜花
49967 朵
农币
2539625 枚
专职
园艺爱好者
 楼主| 发表于 2021-5-10 23:06 来自手机 | 显示全部楼层 来自: 中国广东佛山
品种决定品质,品质决定价值。
回复 支持 反对

使用道具 举报

参加活动:1

组织活动:0

3万

帖子

1万

在线时间

680

好友

★万户侯★

Rank: 26Rank: 26Rank: 26Rank: 26Rank: 26Rank: 26Rank: 26

爱心勋章

昵称
静涌
UID
14329
鲜花
49967 朵
农币
2539625 枚
专职
园艺爱好者
 楼主| 发表于 2021-5-10 23:07 来自手机 | 显示全部楼层 来自: 中国广东佛山
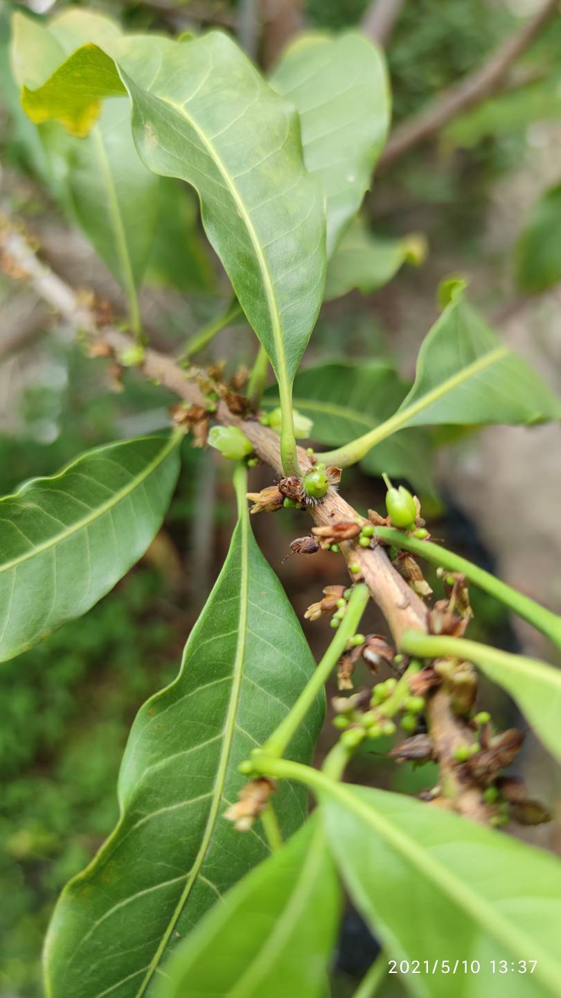
蜜糖也来果了




品种决定品质,品质决定价值。
回复 支持 反对

使用道具 举报

参加活动:1

组织活动:0

3万

帖子

1万

在线时间

680

好友

★万户侯★

Rank: 26Rank: 26Rank: 26Rank: 26Rank: 26Rank: 26Rank: 26

爱心勋章

昵称
静涌
UID
14329
鲜花
49967 朵
农币
2539625 枚
专职
园艺爱好者
 楼主| 发表于 2021-5-10 23:08 来自手机 | 显示全部楼层 来自: 中国广东佛山
不知道能结几个?









品种决定品质,品质决定价值。
回复 支持 反对

使用道具 举报

参加活动:0

组织活动:0

5534

帖子

2110 小时

在线时间

4

好友

★溉帮★七袋长老

Rank: 20Rank: 20Rank: 20Rank: 20Rank: 20

昵称
中山小新
UID
184626
鲜花
12667 朵
农币
74038 枚
居住地
广东
专职
园艺爱好者
发表于 2021-5-11 08:52 来自手机 | 显示全部楼层 来自: 中国广东广州

点评

那里没种,黄晶果全部种宿舍  详情 回复 发表于 2021-5-11 10:10
回复 支持 反对

使用道具 举报

参加活动:1

组织活动:0

3万

帖子

1万

在线时间

680

好友

★万户侯★

Rank: 26Rank: 26Rank: 26Rank: 26Rank: 26Rank: 26Rank: 26

爱心勋章

昵称
静涌
UID
14329
鲜花
49967 朵
农币
2539625 枚
专职
园艺爱好者
 楼主| 发表于 2021-5-11 10:10 来自手机 | 显示全部楼层 来自: 中国广东
jackethua 发表于 2021-05-11 08:52
不是小榄银菊花园咩

那里没种,黄晶果全部种宿舍
品种决定品质,品质决定价值。
回复 支持 反对

使用道具 举报

参加活动:0

组织活动:0

5

帖子

6 小时

在线时间

0

好友

小学一年级

Rank: 2

UID
349348
鲜花
10 朵
农币
145 枚
发表于 2021-5-11 23:53 来自手机 | 显示全部楼层 来自: 中国
楼主,这是种了几年的树?
回复 支持 反对

使用道具 举报

参加活动:0

组织活动:0

60

帖子

99 小时

在线时间

0

好友

初中一年级

Rank: 7Rank: 7Rank: 7

UID
313051
鲜花
234 朵
农币
2312 枚
发表于 2021-5-14 20:23 来自手机 | 显示全部楼层 来自: 中国
黄晶果早几年买了果吃,用核种的大概两、三年后开花,种楼顶,成活两棵的全冻死了,第一次见到被冻死的果树坐标茂名

点评

最冷时6度左右  详情 回复 发表于 2021-5-14 20:25
回复 支持 反对

使用道具 举报

参加活动:0

组织活动:0

60

帖子

99 小时

在线时间

0

好友

初中一年级

Rank: 7Rank: 7Rank: 7

UID
313051
鲜花
234 朵
农币
2312 枚
发表于 2021-5-14 20:25 来自手机 | 显示全部楼层 来自: 中国
李清 发表于 2021-05-14 20:23
黄晶果早几年买了果吃,用核种的大概两、三年后开花,种楼顶,成活两棵的全冻死了,第一次见到被冻死的果树坐标茂名

最冷时6度左右
回复 支持 反对

使用道具 举报

参加活动:0

组织活动:0

309

帖子

367 小时

在线时间

2

好友

大学一年级

Rank: 13Rank: 13Rank: 13Rank: 13

UID
276488
鲜花
695 朵
农币
10664 枚
发表于 2021-5-15 22:51 来自手机 | 显示全部楼层 来自: 中国广东佛山
请教怎么我两棵黄晶果开花难授粉,求技巧

点评

我不懂什么技巧  详情 回复 发表于 2021-5-16 10:18
回复 支持 反对

使用道具 举报

参加活动:1

组织活动:0

3万

帖子

1万

在线时间

680

好友

★万户侯★

Rank: 26Rank: 26Rank: 26Rank: 26Rank: 26Rank: 26Rank: 26

爱心勋章

昵称
静涌
UID
14329
鲜花
49967 朵
农币
2539625 枚
专职
园艺爱好者
 楼主| 发表于 2021-5-16 10:18 来自手机 | 显示全部楼层 来自: 中国广东中山
Mr.cc 发表于 2021-05-15 22:51
请教怎么我两棵黄晶果开花难授粉,求技巧

我不懂什么技巧
品种决定品质,品质决定价值。
回复 支持 反对

使用道具 举报

参加活动:1

组织活动:0

3万

帖子

1万

在线时间

680

好友

★万户侯★

Rank: 26Rank: 26Rank: 26Rank: 26Rank: 26Rank: 26Rank: 26

爱心勋章

昵称
静涌
UID
14329
鲜花
49967 朵
农币
2539625 枚
专职
园艺爱好者
 楼主| 发表于 2021-6-11 23:40 来自手机 | 显示全部楼层 来自: 中国广东佛山
品种决定品质,品质决定价值。
回复 支持 反对

使用道具 举报

参加活动:0

组织活动:0

55

帖子

93 小时

在线时间

0

好友

初中二年级

Rank: 8Rank: 8

UID
311282
鲜花
249 朵
农币
6087 枚
发表于 2021-6-16 22:56 来自手机 | 显示全部楼层 来自: 中国广东
哪种好吃?
回复 支持 反对

使用道具 举报

参加活动:1

组织活动:0

3万

帖子

1万

在线时间

680

好友

★万户侯★

Rank: 26Rank: 26Rank: 26Rank: 26Rank: 26Rank: 26Rank: 26

爱心勋章

昵称
静涌
UID
14329
鲜花
49967 朵
农币
2539625 枚
专职
园艺爱好者
 楼主| 发表于 2021-6-21 23:17 来自手机 | 显示全部楼层 来自: 中国广东中山
白晶以为掉光了,今天发现还有两个



品种决定品质,品质决定价值。
回复 支持 反对

使用道具 举报

参加活动:1

组织活动:0

3万

帖子

1万

在线时间

680

好友

★万户侯★

Rank: 26Rank: 26Rank: 26Rank: 26Rank: 26Rank: 26Rank: 26

爱心勋章

昵称
静涌
UID
14329
鲜花
49967 朵
农币
2539625 枚
专职
园艺爱好者
 楼主| 发表于 2021-6-29 18:02 来自手机 | 显示全部楼层 来自: 中国广东
那么大的果还会落,还是迟点套袋比较好


品种决定品质,品质决定价值。
回复 支持 反对

使用道具 举报

参加活动:1

组织活动:0

3万

帖子

1万

在线时间

680

好友

★万户侯★

Rank: 26Rank: 26Rank: 26Rank: 26Rank: 26Rank: 26Rank: 26

爱心勋章

昵称
静涌
UID
14329
鲜花
49967 朵
农币
2539625 枚
专职
园艺爱好者
 楼主| 发表于 2021-6-29 18:03 来自手机 | 显示全部楼层 来自: 中国广东
多蚧壳虫为害








品种决定品质,品质决定价值。
回复 支持 反对

使用道具 举报

参加活动:1

组织活动:0

3万

帖子

1万

在线时间

680

好友

★万户侯★

Rank: 26Rank: 26Rank: 26Rank: 26Rank: 26Rank: 26Rank: 26

爱心勋章

昵称
静涌
UID
14329
鲜花
49967 朵
农币
2539625 枚
专职
园艺爱好者
 楼主| 发表于 2021-7-10 13:28 来自手机 | 显示全部楼层 来自: 中国广东佛山
品种决定品质,品质决定价值。
回复 支持 反对

使用道具 举报

参加活动:1

组织活动:0

3万

帖子

1万

在线时间

680

好友

★万户侯★

Rank: 26Rank: 26Rank: 26Rank: 26Rank: 26Rank: 26Rank: 26

爱心勋章

昵称
静涌
UID
14329
鲜花
49967 朵
农币
2539625 枚
专职
园艺爱好者
 楼主| 发表于 2021-7-10 13:29 来自手机 | 显示全部楼层 来自: 中国广东佛山
品种决定品质,品质决定价值。
回复 支持 反对

使用道具 举报

参加活动:1

组织活动:0

3万

帖子

1万

在线时间

680

好友

★万户侯★

Rank: 26Rank: 26Rank: 26Rank: 26Rank: 26Rank: 26Rank: 26

爱心勋章

昵称
静涌
UID
14329
鲜花
49967 朵
农币
2539625 枚
专职
园艺爱好者
 楼主| 发表于 2021-7-10 13:29 来自手机 | 显示全部楼层 来自: 中国广东佛山
品种决定品质,品质决定价值。
回复 支持 反对

使用道具 举报

本版积分规则

QQ|手机客户端|关于我们|联系我们|规则制度|隐私政策|小黑屋|活动|水果邦 ( 京ICP备06047721号-4 )

GMT+8, 2025-12-24 00:42 , Processed in 0.048567 second(s), 85 queries , Redis On.

Powered by Discuz! X3.4

Copyright © 2001-2020, Tencent Cloud.

快速回复 返回顶部 返回列表