水果邦农人之家

 找回密码
 加入农人之家大家庭

QQ登录

只需一步,快速开始

12
返回列表 发新帖
楼主: 五行缺你

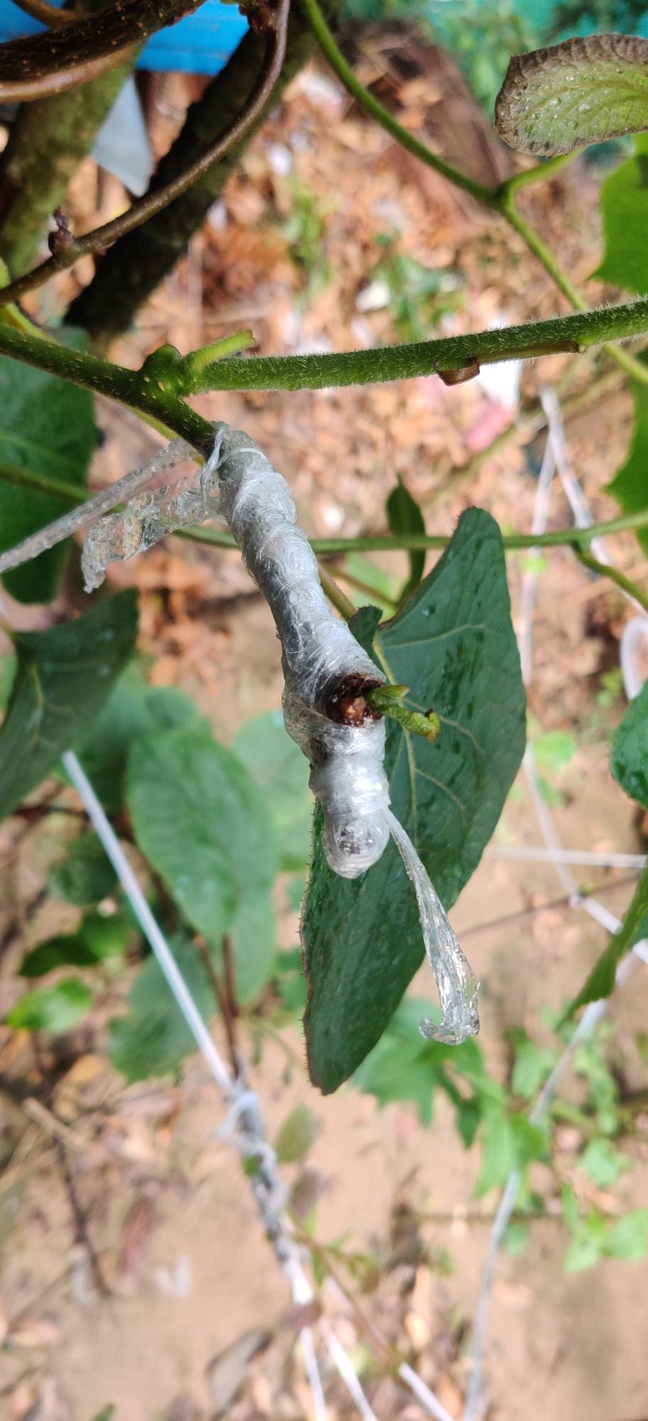
这样的嫁接有没有问题呀

[复制链接]

参加活动:0

组织活动:0

705

帖子

433 小时

在线时间

7

好友

大学二年级

Rank: 14Rank: 14Rank: 14Rank: 14

UID
259129
鲜花
2058 朵
农币
10020 枚
发表于 2020-5-8 23:04 来自手机 | 显示全部楼层 来自: 中国江西赣州

点评

现在我嫁接的都10公分了,明年再试试  详情 回复 发表于 2020-5-8 23:07
回复 支持 反对

使用道具 举报

参加活动:0

组织活动:0

1万

帖子

1448 小时

在线时间

0

好友

★溉帮★八袋长老

Rank: 21Rank: 21Rank: 21Rank: 21Rank: 21Rank: 21

UID
335428
鲜花
26776 朵
农币
130275 枚
 楼主| 发表于 2020-5-8 23:07 来自手机 | 显示全部楼层 来自: 中国江西九江

现在我嫁接的都10公分了,明年再试试
回复 支持 反对

使用道具 举报

参加活动:0

组织活动:0

2309

帖子

875 小时

在线时间

56

好友

★溉帮★六袋长老

Rank: 19Rank: 19Rank: 19Rank: 19Rank: 19Rank: 19

UID
252211
鲜花
5584 朵
农币
71423 枚
专职
园艺爱好者
发表于 2020-5-9 07:16 来自手机 | 显示全部楼层 来自: 中国浙江
都是我给的枝条

点评

是的,谢谢啦  详情 回复 发表于 2020-5-9 08:31
回复 支持 1 反对 0

使用道具 举报

参加活动:0

组织活动:0

1万

帖子

1448 小时

在线时间

0

好友

★溉帮★八袋长老

Rank: 21Rank: 21Rank: 21Rank: 21Rank: 21Rank: 21

UID
335428
鲜花
26776 朵
农币
130275 枚
 楼主| 发表于 2020-5-9 08:31 来自手机 | 显示全部楼层 来自: 中国江西九江

是的,谢谢啦
回复 支持 反对

使用道具 举报

参加活动:0

组织活动:0

1万

帖子

1448 小时

在线时间

0

好友

★溉帮★八袋长老

Rank: 21Rank: 21Rank: 21Rank: 21Rank: 21Rank: 21

UID
335428
鲜花
26776 朵
农币
130275 枚
 楼主| 发表于 2020-5-9 08:36 来自手机 | 显示全部楼层 来自: 中国江西九江
回复 支持 反对

使用道具 举报

本版积分规则

QQ|手机客户端|关于我们|联系我们|规则制度|隐私政策|小黑屋|活动|水果邦 ( 京ICP备06047721号-4 )

GMT+8, 2025-12-24 20:55 , Processed in 0.025266 second(s), 38 queries , Redis On.

Powered by Discuz! X3.4

Copyright © 2001-2020, Tencent Cloud.

快速回复 返回顶部 返回列表