水果邦农人之家

 找回密码
 加入农人之家大家庭

QQ登录

只需一步,快速开始

查看: 1486|回复: 21

害虫的---“灵性”

[复制链接]

参加活动:0

组织活动:0

1万

帖子

458 小时

在线时间

97

好友

★溉帮★六袋长老

Rank: 19Rank: 19Rank: 19Rank: 19Rank: 19Rank: 19

UID
216805
鲜花
14423 朵
农币
59315 枚
发表于 2018-4-2 15:20 | 显示全部楼层 |阅读模式 来自: 中国广东

马上加入农人之家,结交更多农友,享用更多功能,让你轻松玩转。

您需要 登录 才可以下载或查看,没有帐号?加入农人之家大家庭

x
本帖最后由 阳台上的女子 于 2018-4-2 15:24 编辑

这只毛毛虫的信号搜索功能,实在是太强大了!
我想,它的速度一定超过好多人的手机网络信号……

这树刚刚栽下一晚上,
第二天一早起来,就看到它早已赶来……

发现它时,它正美美的趴在石榴树的花丛里面打盹……
折了一根树枝挑逗它一下,
给它吓得死命逃!!!
估计是生怕我捉住它,予以酷刑……

仔细检查了一下这棵树,
发现有个花骨朵让它给啃食出一个大洞,糟蹋空了心!……

这得饿成啥样啊,
这么迫不及待的赶来?……

看来,这害虫的信息采集和信号搜索功能真的是强大!!!
就像坏人,想为非作歹,就是坏脑筋灵敏。














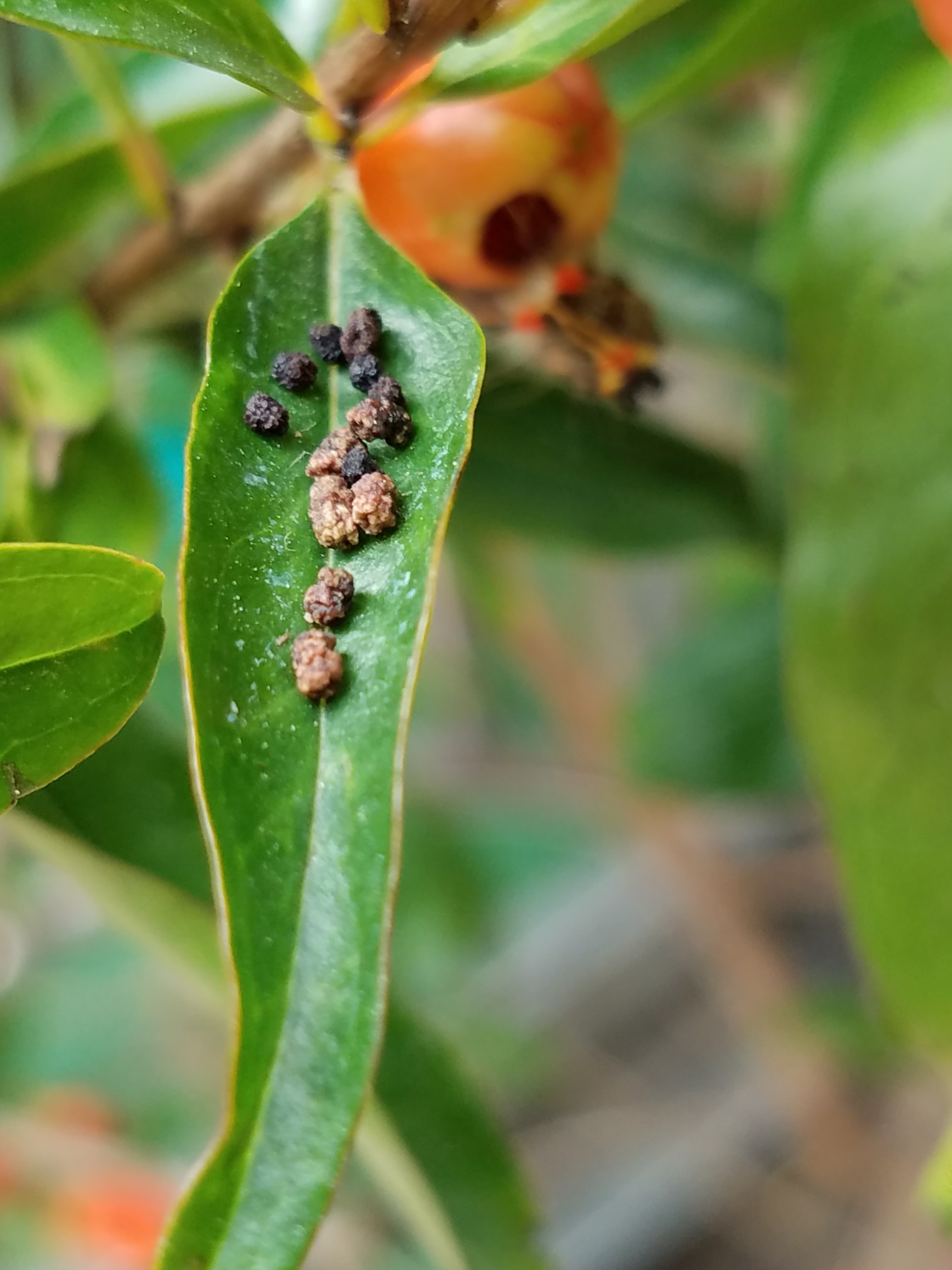
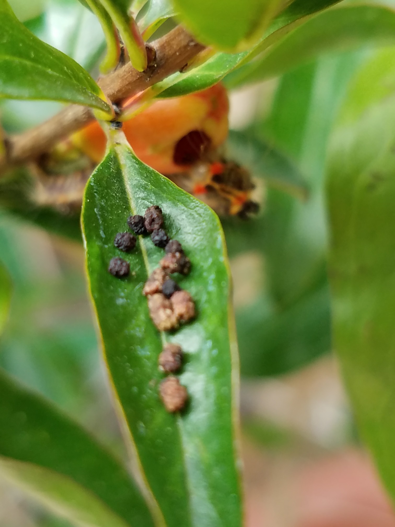
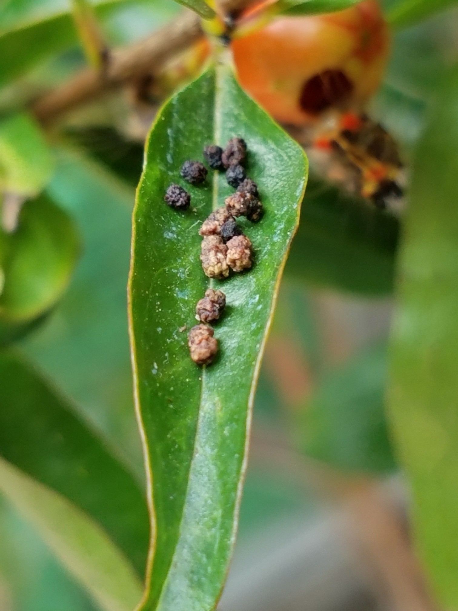
这是它一晚上的产出,
它还真是没客气,看样是没少享用这树上的美味……








它生前最后的影像资料……






还有想求教一下,
这树栽下两晚,今天发现掉落很多花蕾,大小都有,不知是何原因??

评分

参与人数 2农币 +305 收起 理由
闲人勿扰 + 5 字字珠玑
管理员 + 300 对我很有帮助!!

查看全部评分

参加活动:0

组织活动:0

1万

帖子

458 小时

在线时间

97

好友

★溉帮★六袋长老

Rank: 19Rank: 19Rank: 19Rank: 19Rank: 19Rank: 19

UID
216805
鲜花
14423 朵
农币
59315 枚
 楼主| 发表于 2018-4-2 15:40 来自手机 | 显示全部楼层 来自: 中国广东
录的掉花苞的录像尺寸太大,
传不上来,截屏的图片看不全,其实没少掉,大的小的都有,怎么回事?
回复 支持 反对

使用道具 举报

参加活动:0

组织活动:0

491

帖子

563 小时

在线时间

13

好友

大学一年级

Rank: 13Rank: 13Rank: 13Rank: 13

UID
209241
鲜花
2766 朵
农币
3802 枚
居住地
河北 石家庄
专职
园艺爱好者
发表于 2018-4-2 15:42 | 显示全部楼层 来自: 中国河北石家庄
民以食为天,何况是只虫!人这么多事要忙还得一天三顿饭呢,虫子没啥事估计就想着怎么吃了。  新栽树营养吸收跟不上 落花很正常~!

点评

以前栽树没有这么落花的, 可以说基本不落花,除了手碰掉的,栽完最多掉一两个, 这次落花有点多,噼里啪啦的,比绿豆小的花苞都掉了……  详情 回复 发表于 2018-4-2 15:50
回复 支持 反对

使用道具 举报

参加活动:0

组织活动:0

1万

帖子

458 小时

在线时间

97

好友

★溉帮★六袋长老

Rank: 19Rank: 19Rank: 19Rank: 19Rank: 19Rank: 19

UID
216805
鲜花
14423 朵
农币
59315 枚
 楼主| 发表于 2018-4-2 15:50 来自手机 | 显示全部楼层 来自: 中国广东
幸福不远 发表于 2018-04-02 15:42
民以食为天,何况是只虫!人这么多事要忙还得一天三顿饭呢,虫子没啥事估计就想着怎么吃了。  新栽树营养吸收跟不上 落花很正常~!

以前栽树没有这么落花的,
可以说基本不落花,除了手碰掉的,栽完最多掉一两个,
这次落花有点多,噼里啪啦的,比绿豆小的花苞都掉了……

点评

带土移栽的?还是不带土移栽的? 不带土移栽落花很正常!  详情 回复 发表于 2018-4-2 15:54
回复 支持 反对

使用道具 举报

参加活动:0

组织活动:0

491

帖子

563 小时

在线时间

13

好友

大学一年级

Rank: 13Rank: 13Rank: 13Rank: 13

UID
209241
鲜花
2766 朵
农币
3802 枚
居住地
河北 石家庄
专职
园艺爱好者
发表于 2018-4-2 15:54 | 显示全部楼层 来自: 中国河北石家庄
阳台上的女子 发表于 2018-4-2 15:50
以前栽树没有这么落花的,
可以说基本不落花,除了手碰掉的,栽完最多掉一两个,
这次落花有点多,噼里啪 ...

带土移栽的?还是不带土移栽的?  不带土移栽落花很正常!

点评

就是带土栽,所以我才奇怪啊! 不带土栽,能活就不错了,哪还会问这些……  详情 回复 发表于 2018-4-2 16:00
回复 支持 反对

使用道具 举报

参加活动:0

组织活动:0

1万

帖子

458 小时

在线时间

97

好友

★溉帮★六袋长老

Rank: 19Rank: 19Rank: 19Rank: 19Rank: 19Rank: 19

UID
216805
鲜花
14423 朵
农币
59315 枚
 楼主| 发表于 2018-4-2 16:00 来自手机 | 显示全部楼层 来自: 中国广东
幸福不远 发表于 2018-04-02 15:54
带土移栽的?还是不带土移栽的?  不带土移栽落花很正常!

就是带土栽,所以我才奇怪啊!
不带土栽,能活就不错了,哪还会问这些……

点评

那我估计 水浇大了闷的~!  详情 回复 发表于 2018-4-2 16:02
回复 支持 反对

使用道具 举报

参加活动:0

组织活动:0

491

帖子

563 小时

在线时间

13

好友

大学一年级

Rank: 13Rank: 13Rank: 13Rank: 13

UID
209241
鲜花
2766 朵
农币
3802 枚
居住地
河北 石家庄
专职
园艺爱好者
发表于 2018-4-2 16:02 | 显示全部楼层 来自: 中国河北石家庄
阳台上的女子 发表于 2018-4-2 16:00
就是带土栽,所以我才奇怪啊!
不带土栽,能活就不错了,哪还会问这些……

那我估计 水浇大了闷的~!

点评

哦,那怪我了! 当天栽完已经浇了很多水, 可是这几天天气太好,阳光爆足!第二天早上起来,心想再给补点水吧! 结果又灌了好多…… 那可能真是水浇多了的原因! 这样的话,天气太热能烂根吗?会不会死?现在这边  详情 回复 发表于 2018-4-2 16:09
回复 支持 反对

使用道具 举报

参加活动:0

组织活动:0

1万

帖子

458 小时

在线时间

97

好友

★溉帮★六袋长老

Rank: 19Rank: 19Rank: 19Rank: 19Rank: 19Rank: 19

UID
216805
鲜花
14423 朵
农币
59315 枚
 楼主| 发表于 2018-4-2 16:09 来自手机 | 显示全部楼层 来自: 中国广东
幸福不远 发表于 2018-04-02 16:02
那我估计 水浇大了闷的~!

哦,那怪我了!

当天栽完已经浇了很多水,
可是这几天天气太好,阳光爆足!第二天早上起来,心想再给补点水吧!
结果又灌了好多……

那可能真是水浇多了的原因!

这样的话,天气太热能烂根吗?会不会死?现在这边最高温度快30度了……

点评

死不至于,让它自己缓缓就好。浇水别浇特别凉的水30度的天 注意水的温差。  详情 回复 发表于 2018-4-2 16:18
回复 支持 反对

使用道具 举报

参加活动:0

组织活动:0

491

帖子

563 小时

在线时间

13

好友

大学一年级

Rank: 13Rank: 13Rank: 13Rank: 13

UID
209241
鲜花
2766 朵
农币
3802 枚
居住地
河北 石家庄
专职
园艺爱好者
发表于 2018-4-2 16:18 | 显示全部楼层 来自: 中国河北石家庄
阳台上的女子 发表于 2018-4-2 16:09
哦,那怪我了!

当天栽完已经浇了很多水,

死不至于,让它自己缓缓就好。浇水别浇特别凉的水30度的天 注意水的温差。

点评

好的,晓得啦,感谢!  详情 回复 发表于 2018-4-2 16:29
回复 支持 反对

使用道具 举报

参加活动:0

组织活动:0

1万

帖子

2471 小时

在线时间

0

好友

★溉帮★九袋长老

Rank: 22Rank: 22Rank: 22Rank: 22Rank: 22Rank: 22

昵称
遇上时光
UID
256496
鲜花
34866 朵
农币
150858 枚
发表于 2018-4-2 16:23 | 显示全部楼层 来自: 中国广东
早到的虫儿有野吃

点评

看来是这样~  详情 回复 发表于 2018-4-2 16:30
回复 支持 反对

使用道具 举报

参加活动:0

组织活动:0

1万

帖子

458 小时

在线时间

97

好友

★溉帮★六袋长老

Rank: 19Rank: 19Rank: 19Rank: 19Rank: 19Rank: 19

UID
216805
鲜花
14423 朵
农币
59315 枚
 楼主| 发表于 2018-4-2 16:29 来自手机 | 显示全部楼层 来自: 中国广东
幸福不远 发表于 2018-04-02 16:18
死不至于,让它自己缓缓就好。浇水别浇特别凉的水30度的天 注意水的温差。

好的,晓得啦,感谢!
回复 支持 反对

使用道具 举报

参加活动:0

组织活动:0

1万

帖子

458 小时

在线时间

97

好友

★溉帮★六袋长老

Rank: 19Rank: 19Rank: 19Rank: 19Rank: 19Rank: 19

UID
216805
鲜花
14423 朵
农币
59315 枚
 楼主| 发表于 2018-4-2 16:30 来自手机 | 显示全部楼层 来自: 中国广东
wgjymcz 发表于 2018-04-02 16:23
早到的虫儿有野吃

看来是这样~
回复 支持 反对

使用道具 举报

参加活动:0

组织活动:0

1万

帖子

2471 小时

在线时间

0

好友

★溉帮★九袋长老

Rank: 22Rank: 22Rank: 22Rank: 22Rank: 22Rank: 22

昵称
遇上时光
UID
256496
鲜花
34866 朵
农币
150858 枚
发表于 2018-4-2 16:33 | 显示全部楼层 来自: 中国广东
阳台上的女子 发表于 2018-4-2 16:30
看来是这样~

早起的人儿有虫抓

点评

第一天抓它的时候, 拿树枝不小心把它碰掉在什么地方,找不到了,所以没捉到…… 第二天再去捉, 就发现它把花苞咬破了,抓晚了……  详情 回复 发表于 2018-4-3 08:42
回复 支持 反对

使用道具 举报

参加活动:0

组织活动:0

1万

帖子

458 小时

在线时间

97

好友

★溉帮★六袋长老

Rank: 19Rank: 19Rank: 19Rank: 19Rank: 19Rank: 19

UID
216805
鲜花
14423 朵
农币
59315 枚
 楼主| 发表于 2018-4-3 08:42 来自手机 | 显示全部楼层 来自: 中国广东广州
wgjymcz 发表于 2018-04-02 16:33
早起的人儿有虫抓

第一天抓它的时候,
拿树枝不小心把它碰掉在什么地方,找不到了,所以没捉到……

第二天再去捉,
就发现它把花苞咬破了,抓晚了……
回复 支持 反对

使用道具 举报

参加活动:7

组织活动:11

4647

帖子

1万

在线时间

161

好友

★管理员★

Rank: 45Rank: 45Rank: 45Rank: 45Rank: 45Rank: 45Rank: 45Rank: 45Rank: 45Rank: 45Rank: 45Rank: 45

昵称
论坛管理员
UID
66884
鲜花
79178 朵
农币
98686300 枚
专职
果业媒体
发表于 2018-4-3 09:39 | 显示全部楼层 来自: 中国北京
谢谢反馈,已经解决,奉上300农币以示感谢

点评

谢谢管理员,爱的抱抱,么么哒!  详情 回复 发表于 2018-4-3 10:12
。。。,,。。。 ^O^^O^^O^
回复 支持 反对

使用道具 举报

参加活动:0

组织活动:0

1万

帖子

458 小时

在线时间

97

好友

★溉帮★六袋长老

Rank: 19Rank: 19Rank: 19Rank: 19Rank: 19Rank: 19

UID
216805
鲜花
14423 朵
农币
59315 枚
 楼主| 发表于 2018-4-3 10:12 来自手机 | 显示全部楼层 来自: 中国广东广州
管理员 发表于 2018-04-03 09:39
谢谢反馈,已经解决,奉上300农币以示感谢

谢谢管理员,爱的抱抱,么么哒!
回复 支持 反对

使用道具 举报

参加活动:1

组织活动:0

1652

帖子

460 小时

在线时间

7

好友

大学三年级

Rank: 15Rank: 15Rank: 15Rank: 15Rank: 15

UID
224670
鲜花
3127 朵
农币
14950 枚
发表于 2018-4-8 05:29 | 显示全部楼层 来自: 中国山东泰安
有趣,有才。图文并茂。乐观,生活有滋有味

点评

谢谢! 其实也有一些人批我、骂我无聊! 呵呵~  详情 回复 发表于 2018-4-8 11:54
回复 支持 反对

使用道具 举报

参加活动:0

组织活动:0

1万

帖子

458 小时

在线时间

97

好友

★溉帮★六袋长老

Rank: 19Rank: 19Rank: 19Rank: 19Rank: 19Rank: 19

UID
216805
鲜花
14423 朵
农币
59315 枚
 楼主| 发表于 2018-4-8 11:54 来自手机 | 显示全部楼层 来自: 中国广东广州
巡天使者77 发表于 2018-04-08 05:29
有趣,有才。图文并茂。乐观,生活有滋有味

谢谢!
其实也有一些人批我、骂我无聊!
呵呵~
回复 支持 反对

使用道具 举报

参加活动:0

组织活动:0

3182

帖子

269 小时

在线时间

20

好友

★溉帮★五袋长老

Rank: 18Rank: 18Rank: 18Rank: 18Rank: 18

昵称
少钦
UID
209637
鲜花
4979 朵
农币
30759 枚
居住地
海外 荷兰
专职
科研人员
发表于 2018-4-11 18:28 来自手机 | 显示全部楼层 来自: 中国
石榴好多这种虫

点评

我以前养的柠檬和月季上也有~  详情 回复 发表于 2018-4-21 16:10
回复 支持 反对

使用道具 举报

参加活动:0

组织活动:0

1599

帖子

324 小时

在线时间

4

好友

大学四年级

Rank: 16Rank: 16Rank: 16Rank: 16

UID
225479
鲜花
4998 朵
农币
23366 枚
居住地
河北 邯郸 曲周县
专职
园艺爱好者
发表于 2018-4-13 08:51 | 显示全部楼层 来自: 中国河北邯郸
可怜的虫儿

点评

怎么可怜了,它两个晚上祸害我好几朵花苞,撑的拉了那么多大便! 它还可怜? 还有没有天理了?  详情 回复 发表于 2018-4-21 16:12
回复 支持 反对

使用道具 举报

本版积分规则

QQ|手机客户端|关于我们|联系我们|规则制度|隐私政策|小黑屋|活动|水果邦 ( 京ICP备06047721号-4 )

GMT+8, 2025-11-22 18:14 , Processed in 0.072048 second(s), 101 queries , Redis On.

Powered by Discuz! X3.4

Copyright © 2001-2020, Tencent Cloud.

快速回复 返回顶部 返回列表