水果邦农人之家

 找回密码
 加入农人之家大家庭

QQ登录

只需一步,快速开始

查看: 1469|回复: 9

梨叶子生瘤刺,太恶心了

[复制链接]

参加活动:0

组织活动:0

861

帖子

1324 小时

在线时间

7

好友

★溉帮★五袋长老

Rank: 18Rank: 18Rank: 18Rank: 18Rank: 18

昵称
草莓哥
UID
137074
鲜花
25636 朵
农币
14196 枚
居住地
浙江 台州 临海市
专职
种植户
发表于 2020-5-19 22:04 | 显示全部楼层 |阅读模式 来自: 中国浙江台州

马上加入农人之家,结交更多农友,享用更多功能,让你轻松玩转。

您需要 登录 才可以下载或查看,没有帐号?加入农人之家大家庭

x
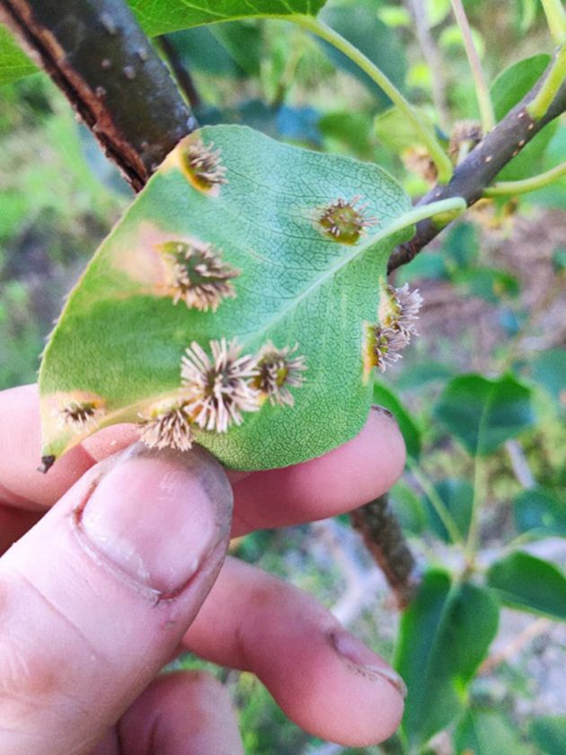
叶子这个瘤刺生的太恶心 了,每年多有,需要用什么防治啊? 1.jpg 2.jpg 3.jpg

参加活动:0

组织活动:0

861

帖子

1324 小时

在线时间

7

好友

★溉帮★五袋长老

Rank: 18Rank: 18Rank: 18Rank: 18Rank: 18

昵称
草莓哥
UID
137074
鲜花
25636 朵
农币
14196 枚
居住地
浙江 台州 临海市
专职
种植户
 楼主| 发表于 2020-5-19 22:06 | 显示全部楼层 来自: 中国浙江台州
梨树种了好多年了,还很小很小,就去年跟今年长的好点,以前叶子多没几叶,也是在帮里买的什么品种多忘记了那么多年了,叫什么红酥梨还是什么的,两个品种的,其中一个真的想不起来了,12还是13年的时候买的
回复 支持 1 反对 0

使用道具 举报

参加活动:0

组织活动:0

2609

帖子

1959 小时

在线时间

3

好友

★溉帮★六袋长老

Rank: 19Rank: 19Rank: 19Rank: 19Rank: 19Rank: 19

UID
211560
鲜花
28601 朵
农币
43205 枚
居住地
浙江
专职
园艺爱好者
发表于 2020-5-19 22:16 | 显示全部楼层 来自: 中国浙江杭州
铁锈病吧        粉锈宁
回复 支持 1 反对 0

使用道具 举报

参加活动:0

组织活动:0

3285

帖子

1165 小时

在线时间

0

好友

★溉帮★五袋长老

Rank: 18Rank: 18Rank: 18Rank: 18Rank: 18

UID
313826
鲜花
10428 朵
农币
22514 枚
发表于 2020-5-19 22:54 来自手机 | 显示全部楼层 来自: 中国宁夏吴忠
松树传染的吧?
回复 支持 1 反对 0

使用道具 举报

参加活动:0

组织活动:0

6673

帖子

1855 小时

在线时间

59

好友

认证商家

Rank: 42Rank: 42Rank: 42Rank: 42Rank: 42Rank: 42Rank: 42Rank: 42Rank: 42Rank: 42Rank: 42

昵称
新山苗场
UID
224846
鲜花
35390 朵
农币
58606 枚
居住地
浙江 绍兴 嵊州市
专职
种子苗木商
发表于 2020-5-20 07:59 来自手机 | 显示全部楼层 来自: 中国浙江杭州
浙江省嵊州市新山苗场,经营:桃苗、梨苗、李苗、猕猴桃苗、樱桃苗、柑桔苗、枇杷苗、杨梅苗、青梅苗、蓝莓苗等 13857546205【微信】
新山苗场官网www.szxinshan.com

淘宝店铺szxinshan.taobao.com

1688批发:szxinshan.1688.com
回复 支持 1 反对 0

使用道具 举报

参加活动:0

组织活动:0

1035

帖子

242 小时

在线时间

0

好友

大学一年级

Rank: 13Rank: 13Rank: 13Rank: 13

UID
323619
鲜花
6774 朵
农币
5704 枚
居住地
山东 烟台
专职
农场基地
发表于 2020-5-20 08:52 | 显示全部楼层 来自: 中国山东烟台
锈病,三唑类药剂有效,周围有柏树,花期前后有雨易发,注意及时喷药防护                                                                    
回复 支持 2 反对 0

使用道具 举报

参加活动:0

组织活动:0

1858

帖子

1418 小时

在线时间

4

好友

★溉帮★五袋长老

Rank: 18Rank: 18Rank: 18Rank: 18Rank: 18

UID
214833
鲜花
2085 朵
农币
15841 枚
居住地
江苏
专职
园艺爱好者
发表于 2020-5-22 12:54 来自手机 | 显示全部楼层 来自: 中国江苏扬州
现在治疗已经没意义了  明年早点预防  这病也只能预防
无花果:芭 日紫 青皮
回复 支持 反对

使用道具 举报

参加活动:0

组织活动:0

460

帖子

259 小时

在线时间

0

好友

高中二年级

Rank: 11Rank: 11Rank: 11Rank: 11

UID
332802
鲜花
1088 朵
农币
6268 枚
发表于 2020-5-22 18:25 来自手机 | 显示全部楼层 来自: 中国江苏南京
回复 支持 反对

使用道具 举报

参加活动:0

组织活动:0

2万

帖子

1051 小时

在线时间

0

好友

★溉帮★九袋长老

Rank: 22Rank: 22Rank: 22Rank: 22Rank: 22Rank: 22

UID
329530
鲜花
13966 朵
农币
134884 枚
发表于 2020-5-29 19:39 来自手机 | 显示全部楼层 来自: 中国
回复 支持 反对

使用道具 举报

参加活动:0

组织活动:0

9

帖子

146 小时

在线时间

0

好友

高中一年级

Rank: 10Rank: 10Rank: 10

UID
330835
鲜花
26 朵
农币
11204 枚
发表于 2020-6-11 13:01 来自手机 | 显示全部楼层 来自: 中国江苏无锡
今年我们这边也是,很多树都长了,看的难受
回复 支持 反对

使用道具 举报

本版积分规则

QQ|手机客户端|关于我们|联系我们|规则制度|隐私政策|小黑屋|活动|水果邦 ( 京ICP备06047721号-4 )

GMT+8, 2025-12-2 22:38 , Processed in 0.033886 second(s), 58 queries , Redis On.

Powered by Discuz! X3.4

Copyright © 2001-2020, Tencent Cloud.

快速回复 返回顶部 返回列表