水果邦农人之家

 找回密码
 加入农人之家大家庭

QQ登录

只需一步,快速开始

查看: 2338|回复: 9

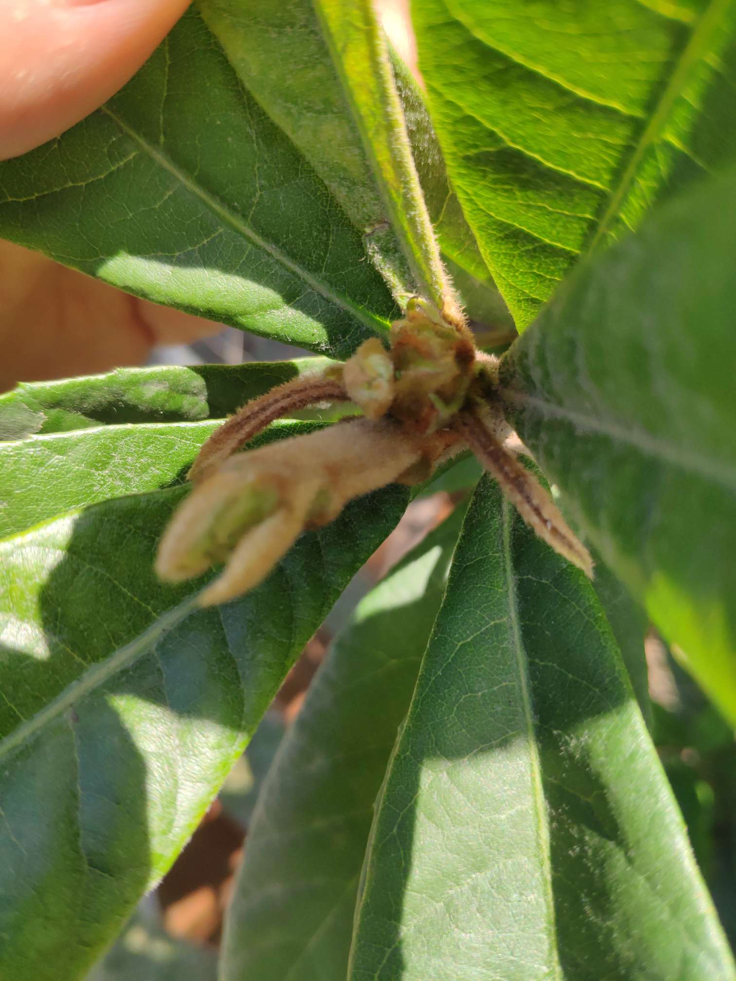
[原创] 同志们帮我看看,这是花还是芽

[复制链接]

参加活动:0

组织活动:0

116

帖子

149 小时

在线时间

2

好友

初中三年级

Rank: 9Rank: 9Rank: 9

昵称
小跆
UID
161580
鲜花
468 朵
农币
6903 枚
居住地
浙江 宁波 鄞州区 集士港镇
专职
园艺爱好者
发表于 2019-11-15 14:42 | 显示全部楼层 |阅读模式 来自: 中国浙江宁波

马上加入农人之家,结交更多农友,享用更多功能,让你轻松玩转。

您需要 登录 才可以下载或查看,没有帐号?加入农人之家大家庭

x
这是花还是芽





参加活动:0

组织活动:0

941

帖子

1906 小时

在线时间

1

好友

★溉帮★五袋长老

Rank: 18Rank: 18Rank: 18Rank: 18Rank: 18

UID
279372
鲜花
2350 朵
农币
23789 枚
居住地
浙江 台州 天台县
专职
园艺爱好者
发表于 2019-11-15 15:08 来自手机 | 显示全部楼层 来自: 中国浙江台州
叶芽
回复

使用道具 举报

参加活动:0

组织活动:0

1万

帖子

208 小时

在线时间

0

好友

★溉帮★五袋长老

Rank: 18Rank: 18Rank: 18Rank: 18Rank: 18

UID
315572
鲜花
21208 朵
农币
-17 枚
发表于 2019-11-15 15:38 来自手机 | 显示全部楼层 来自: 中国北京
回复 支持 反对

使用道具 举报

参加活动:0

组织活动:0

634

帖子

932 小时

在线时间

0

好友

★溉帮★五袋长老

Rank: 18Rank: 18Rank: 18Rank: 18Rank: 18

UID
240823
鲜花
1383 朵
农币
45572 枚
居住地
安徽
专职
园艺爱好者
发表于 2019-11-15 15:58 来自手机 | 显示全部楼层 来自: 中国安徽
回复 支持 反对

使用道具 举报

参加活动:0

组织活动:0

1798

帖子

686 小时

在线时间

0

好友

大学毕业生

Rank: 17Rank: 17Rank: 17Rank: 17Rank: 17

UID
274548
鲜花
3801 朵
农币
18401 枚
发表于 2019-11-15 18:11 来自手机 | 显示全部楼层 来自: 中国浙江绍兴
不是花,枇杷现在都开花了
回复 支持 反对

使用道具 举报

参加活动:0

组织活动:0

5741

帖子

426 小时

在线时间

6

好友

★溉帮★六袋长老

Rank: 19Rank: 19Rank: 19Rank: 19Rank: 19Rank: 19

UID
285744
鲜花
15025 朵
农币
64173 枚
专职
园艺爱好者
发表于 2019-11-15 19:17 来自手机 | 显示全部楼层 来自: 中国浙江金华

评分

参与人数 1农币 +15 收起 理由
西瓜小布丁 + 15 原创内容!

查看全部评分

回复 支持 反对

使用道具 举报

参加活动:0

组织活动:0

116

帖子

149 小时

在线时间

2

好友

初中三年级

Rank: 9Rank: 9Rank: 9

昵称
小跆
UID
161580
鲜花
468 朵
农币
6903 枚
居住地
浙江 宁波 鄞州区 集士港镇
专职
园艺爱好者
 楼主| 发表于 2019-11-15 22:52 来自手机 | 显示全部楼层 来自: 中国浙江宁波
感谢各位。好心碎
回复 支持 1 反对 0

使用道具 举报

参加活动:0

组织活动:0

841

帖子

279 小时

在线时间

1

好友

大学二年级

Rank: 14Rank: 14Rank: 14Rank: 14

UID
217012
鲜花
2180 朵
农币
13905 枚
居住地
山东 青岛 胶州市
专职
园艺爱好者
发表于 2019-11-19 07:54 来自手机 | 显示全部楼层 来自: 中国山东
我看像叶芽
回复 支持 反对

使用道具 举报

参加活动:0

组织活动:0

99

帖子

80 小时

在线时间

1

好友

小学四年级

Rank: 5Rank: 5

UID
75801
鲜花
237 朵
农币
1690 枚
发表于 2019-11-19 13:28 来自手机 | 显示全部楼层 来自: 中国湖南郴州
回复 支持 反对

使用道具 举报

参加活动:0

组织活动:0

76

帖子

449 小时

在线时间

0

好友

高中三年级

Rank: 12Rank: 12Rank: 12

UID
327142
鲜花
200 朵
农币
6453 枚
发表于 2019-11-19 13:47 来自手机 | 显示全部楼层 来自: 中国
芽芽芽芽芽芽
回复 支持 反对

使用道具 举报

本版积分规则

QQ|手机客户端|关于我们|联系我们|规则制度|隐私政策|小黑屋|活动|水果邦 ( 京ICP备06047721号-4 )

GMT+8, 2025-12-2 13:53 , Processed in 0.036828 second(s), 57 queries , Redis On.

Powered by Discuz! X3.4

Copyright © 2001-2020, Tencent Cloud.

快速回复 返回顶部 返回列表